使用人像处理API打造个性化图像效果

115 阅读7分钟

人像处理API是一种强大的工具,它可以让我们的照片焕发新生。无论是自拍、人像照片还是社交媒体的头像,人像处理API都能够提供多种功能,让我们轻松实现美颜、试妆、滤镜等效果。通过这个API,我们可以一键消除瑕疵,让肌肤变得光滑细腻;我们可以实时尝试各种妆容,找到最适合自己的风格;我们还可以为照片添加各种艺术滤镜,让画面更具个性和艺术感。人像处理API为我们提供了一种简单而强大的方式,让我们的照片更加出彩,展现自己的美丽和个性。无论是个人还是商业应用,人像处理API都能为我们带来更好的图像体验和视觉效果。

幂简集成为开发者精选了人像处理的API,助您快速集成:

人脸融合

人脸融合API服务将2张含有人脸的图片融合在一起,例如夫妻双方图片融合,判断未来孩子长相等类似娱乐应用。请注意:模板图片人像部分应距离边缘有一定距离,目标图片人像部分应在图片正中正脸清晰。模板图片和目标图片分辨率不能超过1920*1080。

API应用场景:

  • 娱乐与趣味应用:用户可以将自己的人脸与名人、动物或其他形象进行融合,生成有趣的图片或视频,用于社交媒体分享、表情包制作等。
  • 影视特效与数字艺术:人脸融合API可以用于给演员添加特殊化妆、改变外貌、创造虚拟角色等。同时,也可以用于数字艺术作品中的创意和表现手段。
  • 虚拟换脸与Cosplay:用户可以将自己的人脸融合到喜欢的角色或名人的照片上,实现自己的虚拟换脸效果,或者进行Cosplay时的化妆和装扮。
  • 人像编辑与美容应用:用户可以通过融合不同人脸的方式,对自己的照片进行美容、改变五官形状或添加特殊效果,帮助用户实现更理想的自我形象。
  • 教育与研究:人脸融合AP可以用于人脸识别技术的研究和开发,帮助学生或研究人员更好地理解和应用人脸识别技术。

相册聚类

相册聚类API服务建立云端相册,根据不同人脸进行智能聚类,支持通过人脸搜索所有包含该人脸的照片。

API应用场景:

  • 照片管理与组织:相册聚类API可以帮助用户自动管理和组织大量的照片。通过分析照片的视觉特征和内容,可以将相似的照片聚类在一起,并为用户提供更方便的浏览和搜索功能。
  • 相册智能分类:相册聚类API可以根据照片的主题、场景、人物等进行智能分类。
  • 照片回忆与分享:相册聚类API可以帮助用户回顾过去的照片回忆。通过将相似的照片聚集在一起,用户可以更轻松地回顾过去的事件和经历,并与他人分享这些回忆。
  • 个性化推荐与广告定向:相册聚类API可以根据用户的照片喜好和兴趣,实现个性化推荐和广告定向。通过分析照片内容,可以了解用户的兴趣爱好,并向他们推荐相关的产品或服务。
  • 智能相册应用开发:基于相册聚类API,可以开发出智能相册应用。这些应用可以提供更智能、便捷和个性化的相册管理功能,满足用户对照片管理的高效需求。

人脸关键点

人脸关键点API服务检测人脸五官与轮廓的关键点及位置,关键点包括人脸轮廓、眼睛、眉毛、嘴唇以及鼻子轮廓。

API应用场景:

  • 人像矫正和美化:人脸关键点API通过分析人脸关键点,可以对人脸进行定位、旋转和缩放等调整,从而使人像更加美观。
  • 视频监控和安防:人脸关键点API通过分析视频中的人脸关键点,可以进行人脸识别和身份认证,从而提高监控系统的准确性和安全性。
  • 虚拟现实和增强现实:人脸关键点API可以用于虚拟现实(VR)和增强现实(AR)应用中。通过分析人脸关键点,可以实现面部表情追踪和头部姿态识别,从而提高虚拟角色的表现力和用户体验。
  • 人机交互和手势识别:人脸关键点API通过分析面部动作和姿态,可以识别用户的手势和意图,从而实现更加自然和智能的交互方式。
  • 医疗和康复:人脸关键点API通过分析面部表情和运动,可以评估病人的神经系统功能,从而帮助医生进行疾病诊断和康复计划制定。

3D人脸重建

3D人脸重建API服务基于8000个3D人脸关键点,利用单张或多张图像重建3D人脸模型。

API应用场景:

  • 虚拟现实和增强现实:通过创建高度真实的3D人脸模型,用户可以在虚拟世界中与其他人进行互动或在现实世界中添加虚拟物体。
  • 人脸动画和角色建模:通过将2D人脸图像转换为3D模型,可以更容易地为动画电影、游戏或虚拟人物创建逼真的面部表情和动作。
  • 影视制作和特效:3D人脸重建API可以用于影视制作和特效领域。通过创建准确的3D人脸模型,可以更好地进行数字化妆、虚拟角色替代和面部表情追踪等特效。
  • 人脸识别和身份认证:3D人脸重建API可以提供更加准确和安全的人脸识别和身份认证。通过使用3D人脸模型,可以提高人脸识别系统对于假脸或照片的辨别能力。
  • 医疗和生物识别:3D人脸重建API通过创建真实的3D人脸模型,可以帮助医生进行面部手术规划、病人识别和疾病监测等。

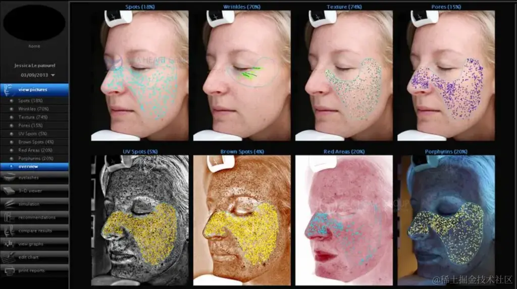
皮肤分析

皮肤分析API服务分析皮肤状态,如皮肤颜色、肤质、双眼皮、眼袋、黑眼圈、皱纹、痘痘、斑点等。

API应用场景:

  • 美容和护肤应用:皮肤分析API可以帮助用户分析肌肤类型、色素沉积、皱纹程度、毛孔大小等皮肤特征。
  • 医疗诊断和皮肤疾病监测:皮肤分析API可以帮助医生进行皮肤疾病的诊断和监测。
  • 美容设备和仪器:皮肤分析API可以与美容设备和仪器结合使用,例如面部扫描仪、皮肤湿度仪等。通过分析皮肤特征,这些设备可以提供更准确的数据和指标,帮助用户了解皮肤状态并优化美容程序。
  • 化妆品开发和营销:皮肤分析API可以为化妆品公司提供有关消费者肌肤特征和需求的信息。这可以用于开发个性化的化妆品产品,以及制定有针对性的市场营销策略。
  • 研究和调研:科学研究人员可以利用皮肤分析API来收集皮肤特征数据,并进行相关研究。市场调研人员可以通过分析用户的皮肤特征和需求,了解消费者的偏好和趋势。