在这个链接下载PostgreSQL。
安装时,请记住您给user postgres设置的初始密码,以及默认端口号5432,后面需要使用。

再安装图形化管理UI pgadmin,可以从这个链接获得。
安装完毕之后,登录pgadmin,将服务器connection里的port修改成默认的5432:

成功连接上服务器,之后新建一个Table:


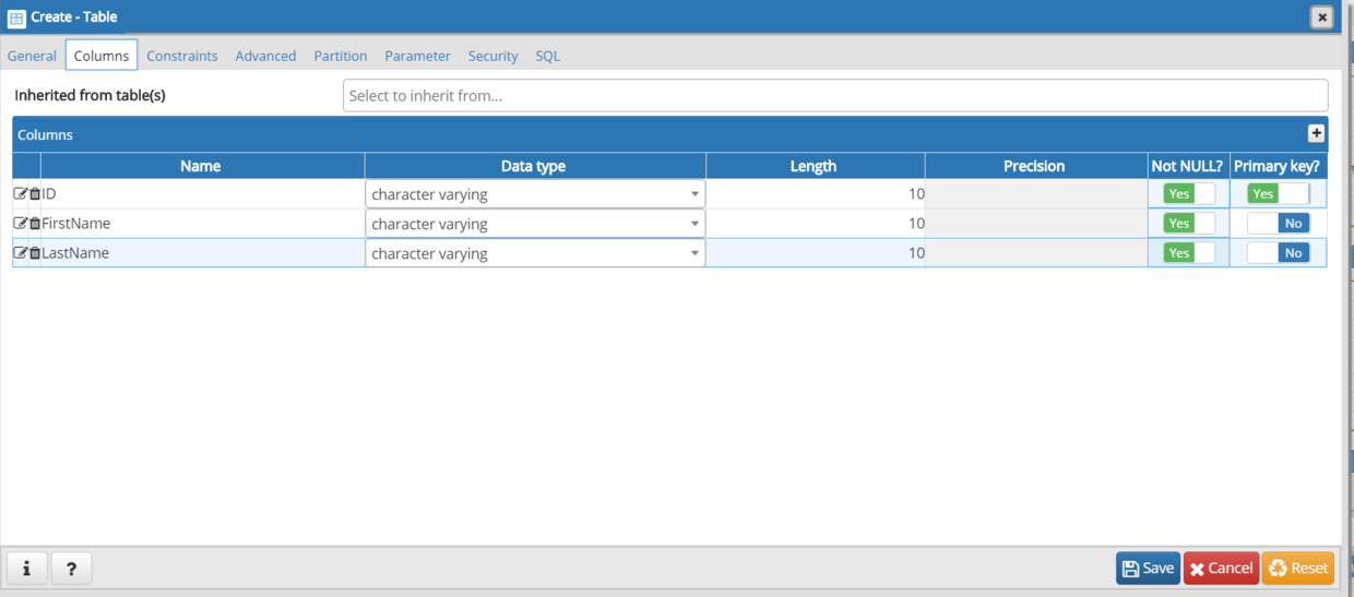
给该table维护三列:

使用Script插入一些测试数据:


测试数据插入之后,通过SELECT * 查询刚才插入的数据。

效果和使用命令行工具psql的效果一致。

在命令行里插入一条测试数据:

插入结果:

要获取更多Jerry的原创技术文章,请关注公众号"汪子熙"或者扫描下面二维码:

